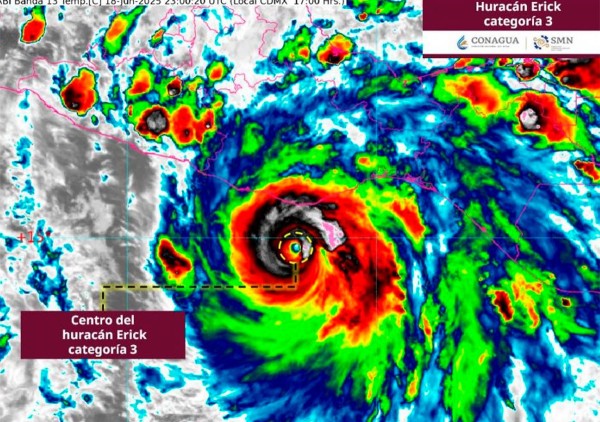
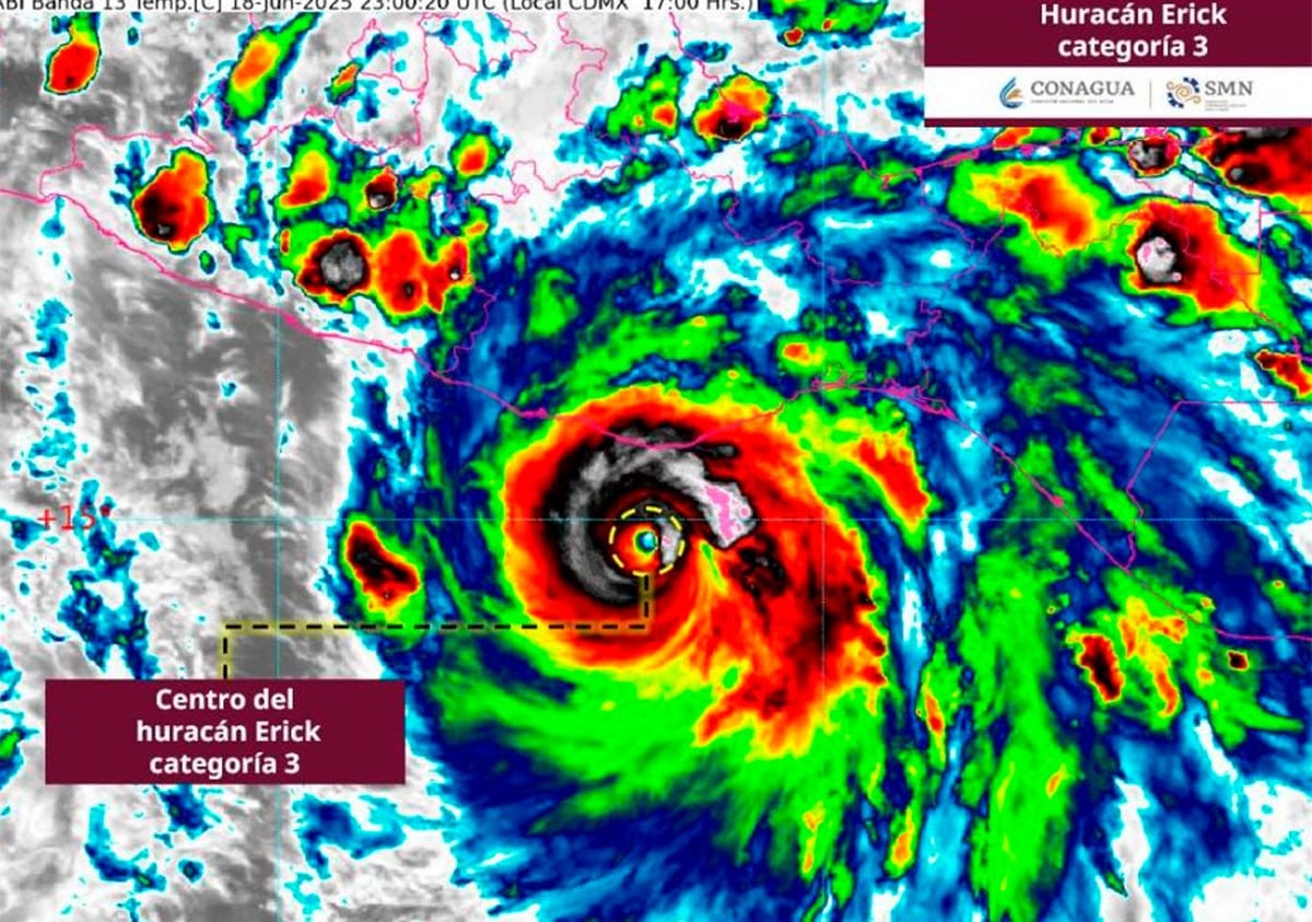
México— El huracán Erick evolucionó este miércoles a categoría 3 en la escala Saffir-Simpson y se prevé que impacte tierra la madrugada de este jueves entre las costas de Oaxaca y Guerrero, informó el Servicio Meteorológico Nacional (SMN).
En su más reciente actualización de las 18:00 horas, el SMN reportó que el centro del huracán se localizaba a 90 kilómetros al sur-suroeste de Puerto Ángel, Oaxaca, y a 260 kilómetros al sureste de Punta Maldonado, Guerrero, desplazándose hacia el noroeste a 15 km/h. Presenta vientos sostenidos de 195 km/h y rachas de hasta 220 km/h.
Suscríbete a nuestro canal de WhatsApp y recibe las últimas noticias directamente en tu celular
Fabián Vázquez Romaña, coordinador general del SMN, advirtió que Erick podría incluso alcanzar la categoría 4 antes de tocar tierra, debido a las condiciones océano-atmosféricas favorables.
“El principal cambio es que para mañana, en el transcurso de la mañana, Erick estará tocando tierra como un peligroso huracán categoría 3”, indicó.
El #SMNmx te sigue informando sobre el #Huracán #Erick de categoria 3. pic.twitter.com/UF2C21sgR2
— CONAGUA Clima (@conagua_clima) June 19, 2025
Se esperan lluvias extraordinarias (más de 250 mm) en Oaxaca, torrenciales (150 a 250 mm) en Guerrero y Chiapas, además de oleaje de 6 a 8 metros en costas de Oaxaca y Guerrero, rachas de viento superiores a 210 km/h, y marejada ciclónica de hasta 2.5 metros. En Chiapas, el oleaje se estimó entre 4 y 5 metros, con vientos de hasta 120 km/h.
Te puede interesar: Mejoran ciclovías de León y autoridades anuncian que ¡van por más!
La Conagua y el Centro Nacional de Huracanes de Estados Unidos mantienen activas las siguientes zonas de vigilancia y prevención:
- Zona de prevención por vientos de huracán: de Acapulco, Guerrero, a Puerto Ángel, Oaxaca.
- Zona de vigilancia por huracán: de Acapulco a Técpan de Galeana, Guerrero.
- Zona de prevención por tormenta tropical: de Puerto Ángel a Salina Cruz, Oaxaca, y de Acapulco a Técpan de Galeana.
#AvisoMeteorológico #Erick se localiza muy cerca de las costas de #Oaxaca y #Guerrero.
Toda la información en ⬇️https://t.co/HSwWe9kmtu pic.twitter.com/xGzAZilkOW— CONAGUA Clima (@conagua_clima) June 19, 2025
Las lluvias intensas podrían ocasionar deslaves, crecidas de ríos y arroyos, desbordamientos e inundaciones, especialmente en zonas bajas, por lo que las autoridades exhortan a la población a mantenerse informada, atender los avisos oficiales y seguir las recomendaciones de Protección Civil.
Presidenta Sheinbaum llama a mantener la calma por el huracán Erick
La presidenta Claudia Sheinbaum Pardo emitió un mensaje dirigido a la población de Oaxaca y Guerrero, en el que llamó a mantener la calma, permanecer en resguardo y acudir a los albergues habilitados.
“Se suspendieron absolutamente todas las actividades. Las recomendaciones son resguardarse en sus domicilios, no salir, mantenerse juntos en familia. Si viven cerca de ríos o en lugares bajos, trasládense a los albergues”, indicó la mandataria mediante un videomensaje publicado este miércoles por la noche.
Aviso importante sobre el huracán Erick categoría 3, que avanza hacia las costas de Guerrero y Oaxaca. Mantengámonos informados. pic.twitter.com/QsvL8RegX0
— Claudia Sheinbaum Pardo (@Claudiashein) June 19, 2025
Sheinbaum confirmó que, de acuerdo con información de la Coordinación Nacional de Protección Civil, se espera que el huracán impacte la madrugada del jueves en la franja limítrofe entre Oaxaca y Guerrero. “Me informan que pasó de categoría 2 a categoría 3 y sigue intensificándose”, advirtió.
Te puede interesar: ¡Guanajuato sí sabe! Checa la ruta de las Fiestas de la Vendimia para estas vacaciones
Asimismo, destacó que se han activado los protocolos de emergencia, incluyendo el Plan DN-III-E de la Secretaría de la Defensa Nacional, el Plan Marina de la Secretaría de Marina, y que hay coordinación plena con autoridades federales, estatales y municipales. También informó que la Comisión Federal de Electricidad (CFE) se encuentra preparada para atender afectaciones en el suministro eléctrico.
El #EjércitoMexicano y #GuardiaNacional, aplicamos el #PlanDNIIIE en su fase de prevención a través de recorridos en las zonas vulnerables ante el paso del huracán #Erick en #Oaxaca.
Estamos preparados para auxiliar a la población ante cualquier desastre.#46ZonaMilitar… pic.twitter.com/NP0gzyScRh— @Defensamx (@Defensamx1) June 19, 2025
“Voy a estar muy atenta a lo que suceda esta noche. Manténganse juntos y mantengan la calma. Juntos vamos a salir adelante”, expresó la presidenta.
RC